
![]() |
Located in Roswell, New Mexico, this facility was originally known as Roswell Army International Airfield during World War II, and Walker Air Force Base in later years.
At the time of its closure in 1967, the facility was the largest air base of the Strategic Air Command (SAC), covering 4,600 acres.
During its active duty years, Walker supported a variety of military aircraft including the B-29 Superfortress, B-50, KC-97, B-36 Peacemaker, B-47 Stratojet, KC-135 Stratotanker, and the B-52 Stratofortress.
Lines of UPS and American Airlines jets in storage at the Roswell International Air Center in New Mexico |
![]() |
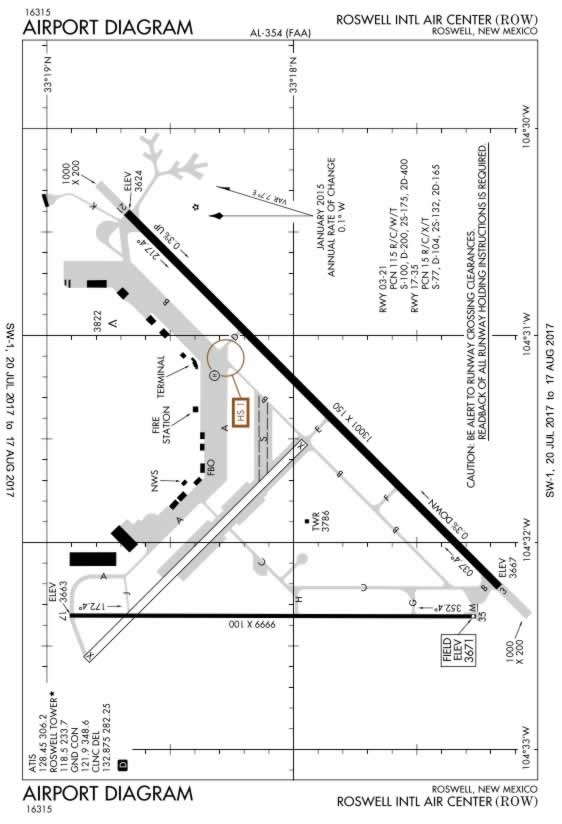
The Roswell International Air Center (RIAC) was developed after the closure of the base. Two runways are provided, one at 13,001 feet, the other extending 9,999 feet.
![]() |
Today, various industries are located at the Air Center, including companies which store, refurbish and dismantle airliners. The Air Center features ample areas for storage and reclamation, and its dry climate with typical relative humidity of 4%-8% is a perfect environment for preservation.
Airlines from around the world store, repair and obtain parts from the giant aircraft at Roswell.
Companies such as AerSale, Aircraft Technical Support, Avflight, Dean Baldwin Aircraft Painting, Stewart Industries International, and MISTIC are among the aviation businesses located at Roswell.
At any given time, up to 300 jetliners may be stored or being reworked at Roswell. Airlines which utilize RIAC include American Airlines, United, UPS, Air Canada, Scoot, Polar Air Cargo, Hawaiian Airlines, and many others.
The Roswell Air Center offers air service to both Dallas-Fort Worth International Airport (DFW) and Phoenix Sky Harbor International Airport (PHX) via American Airlines. Rental car services are available, as are area hotels.
The Walker Aviation Museum is also located on site.
For more information, visit the Official website of the Roswell International Air Center
Airliners being dismantled at the Roswell International Air Center in New Mexico |
![]() |
The Roswell International Air Center (RIAC) is located five miles south of the central business district of the City.
The physical address of the Air Center is 1 Jerry Smith Circle, Roswell, New Mexico 88203.
For driving directions to the airport, see the interactive map at the bottom of this page.
American Airlines jets in storage at the Roswell International Air Center |
![]() |
Aerial view of the Roswell International Air Center with airliners in storage (2022) |
![]() |
![]() |
UPS cargo jets in storage at Roswell ![]() |
Airliners lined up on the apron at the Roswell International Air Center |
![]() |
American Airlines McDonnell-Douglas MD-8X jetliners at the Roswell International Air Center |
![]() |
Air Canada and UPS jetliners at the Roswell International Air Center |
![]() |
Scoot Tigerair jetliner at the Roswell International Air Center |
![]() |
Kenya Airways jetliner at the Roswell International Air Center |
![]() |
Need Help Spotting Airliners at Roswell?Identification of individual aircraft models stored at Roswell, or elsewhere, can be hard, considering the number of jet airliners serving the worldwide travel industry, and in desert storage. Visit our new website and explore guides to spotting the common jet airliners of the day from Airbus, Boeing, Embraer and Bombardier. |
